做最有影响力的种植管理专家
为每个种植者提供全程解决方案

领先化工 4000-900-331

首页帮助中心苍耳

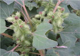
苍耳

种子繁殖,一年生草本。在我国北方,4—5月萌发,7—8月开花,8—9月为结果期。种子粗壮,生活力强,经休眠后萌发。

株高30—100cm,茎直立。叶互生。具长柄;叶片三角状卵形或心形,叶缘有缺刻及不规则的粗锯齿。头状花序腋生或顶生,花单性,雌雄同株;雄花序球形,黄绿色,集生于花轴顶端;头状花序生于叶腋,椭圆形,外层总苞片小,无花瓣。瘦果稍扁。

分布于全国各地。生于旱作物田间、果园。局部地区危害较重。

花生苗后安全型除草剂-垄垄松

电话咨询 公司地图 企业微博 首页